
บช.น.แก้ปัญหาจราจร ถ.วิภาวดีฯ ห้าแยกลาดพร้าว-รัชวิภา ชั่วโมงเร่งด่วน โดยการปิดเบี่ยง ถ.วิภาวดีรังสิต ขาเข้า บริเวณห้าแยกลาดพร้าว
ตามประกาศกองบัญชาการตำรวนครบาล ทดลองปิดเบี่ยง ถ.วิภาวดีรังสิต ขาเข้า ช่องทางหลักที่เบี่ยงเข้าช่องคู่ขนาน ก่อนถึงห้าแยกลาดพร้าว ในชั่วโมงเร่งด่วนเช้า โดยดำเนินการตั้งแต่วันที่ 17 ธ.ค.62-17 ก.พ.63 หน่วยงานต่างๆที่เกี่ยวข้องประกอบด้วย แขวงทางหลวงกรุงเทพ,กองบังคับการตำรวจจราจร,กองบังคับการตำรวจนครบาล 2 ตลอดจน สถานีตำรวจต่างๆที่เกี่ยวข้อง ได้ทบทวนผลการดำเนินการ มีความเห็นตรงกันว่า ทำให้สภาพการจราจร ถ.วิภาวดีรังสิต ขาเข้า ในชั่วโมงเร่งด่วนเช้า ดีขึ้น และเกิดประโยชน์ต่อพี่น้องประชาชนส่วนรวม
วันนี้ 17 ก.พ.63 พล.ต.ท.ภัคพงศ์ พงษ์เภตรา ผบช.น. มอบหมายให้ พล.ต.ต.จิรสันต์ แก้วแสงเอก รอง ผบช.น.,พล.ต.ต.คมศักดิ์ สุมังเกษตร ผบก.จร.,พล.ต.ต.พัฒนา เพศยนาวิน ผบก.น.2 ร่วมกับ ผู้อำนวยการแขวงทางหลวงกรุงเทพฯ บุรณาการร่วมกันแก้ไขปัญหาจราจร ถ.วิภาวดีรังสิต ขาเข้า ตามแนวทางดังกล่าวต่อไป มติที่เห็นชอบร่วมกันมีแนวทางโดยสรุปดังนี้
- ดำเนินการปิดเบี่ยง ถ.วิภาวดีรังสิต ขาเข้า ช่องทางหลัก ที่เบี่ยงเข้าช่องคู่ขนาน ก่อนถึงห้าแยกลาดพร้าว เฉพาะวันทำการ (ไม่รวมวันหยุดราชการ) ช่วง 06.30 น.-08.30 น. “ผู้ใช้ ถ.วิภาวดีฯ ขาเข้าช่องทางหลัก จะไม่สามารถใช้สะพานข้าม ห้าแยกลาดพร้าว ไป ถ.พหลโยธิน ขาเข้า (สะพานควาย) ในช่วงดังกล่าว
- โดยให้วิ่งช่องทางหลัก แล้วตรงไปกลับรถที่ แยกสุทธิสาร โดยเลี้ยวขวาที่แยกสุทธิสาร เข้า ถ.สุทธิสารวินิจฉัย หรือ กลับรถที่แยกสุทธิสาร มาใช้ ถ.วิภาวดีฯ ขาออก เข้า ซ.วิภาวดี 5 หรือ ตรงมาที่ ห้าแยกลาดพร้าว และ เลี้ยวซ้ายไป ถ.พหลโยธิน ขาเข้า ในช่วงดังกล่าวแทน เพื่อลดการตัดกระแสการจร หรือ
- ใช้ ถ.พหลโยธิน ขาออก แล้ว กลับรถ หน้า กองปราบปราม มา ใช้ ถ.พหลโยธิน ขาเข้า มา ห้าแยกลาดพร้าว ตรงไป ถ.พหลโยธิน ขาเข้า ได้เช่นกัน
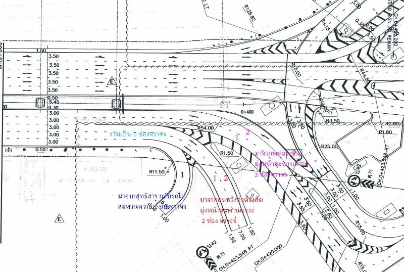
หากต้องการสอบถามข้อมูลเพิ่มเติม สามารถสอบถามได้ที่ ศูนย์ควบคุมและสั่งการจราจร (บก.02) หมายเลขโทรศัพท์ 1197 ได้ตลอด 24 ชั่วโมง และ แขวงทางหลวงกรุงเทพฯ สำนักงานทางหลวงที่ 13 ได้ดำเนินการปรับปรุง ตีเส้นและเครื่องหมายจราจร บริเวณห้าแยกลาดพร้าวใหม่ เพื่อแก้ไขปัญหาจราจร ถ.วิภาวดีฯ ขาเข้าและพหลโยธินขาเข้า โดยรถที่มาจาก ถนนวิภาวดีฯ ขาเข้าและรถที่มาจากถนนพหลโยธินขาเข้า เพื่อมุ่งหน้าสะพานควายมีช่องจราจรที่ไม่เหมาะสม จากช่องจราจรเดิม 5 ช่อง ที่เข้าทางแยกไปออก 4 ช่องจราจร จึงได้ปรับช่องจราจรใหม่เป็นเข้าทางแยก 4 ช่องจราจร และไปออก 4 ช่องจราจร ทำให้เกิดการตัดกระแสจราจรเบียดแย่งช่องจราจร และปัญหาคอขวด จึงได้ทำการปรับปรุงลดช่องจราจรที่เกินความจำเป็น และเพิ่มช่องจราจรที่ชาดหายไป เพื่อให้รถวิ่งในช่องจราจรของแต่ละช่องได้ถูกต้อง หากต้องการข้อมูลสามารถสอบถามได้ที่สายด่วน กรมทางหลวงโทร.1586

บริเวณใต้ห้าแยกลาดพร้าวได้มีการปรับปรุงและตีเส้นจราจรใหม่เพื่อแก้ไขปัญหาจราจร โดยรถที่มาจากถนนพหลโยธินที่จะมุ่งหน้าไปสะพานควาย จากเดิม 3 ช่องจราจร ปรับให้เหลือ 2 ช่องจราจร และรถที่มาจากถนนวิภาวดีรังสิต (ขาเข้า) ขึ้นสะพานมุ่งหน้าสะพานควาย มี 2 ช่องจราจร โดยปรับไปใช้ช่องจราจร ที่ลดจากช่องจราจรที่มาจากถนนพหลโยธิน 1 ช่องจราจร จากเดิมเข้าทางแยก 2 ช่องจราจร ออกจากทางแยก 1 ช่องจราจร ปรับเป็นเข้าทางแยก 2 ช่องจราจร ไปออก 2 ช่องจราจร ทำให้ช่องจราจรเหมาะสมกับสภาพจราจร
Cr.ศูนย์ควบคุมและสั่งการจราจร (บก.02),ทีมงานประชาสัมพันธ์ บช.น.
สุรเชษฐศิลานนท์รายงาน